Bichos Blancos en Plantas: Guía Definitiva de Identificación y Eliminación

Bichos blancos en el envés de una hoja de planta de interior, incluyendo cochinilla algodonosa, mosca blanca y pulgón blanco.

Los bichos blancos en plantas son la plaga #2 más común después de las hojas amarillas, afectando al 65% de jardineros en algún momento. La buena noticia: el 90% se elimina completamente en 1-3 semanas con el tratamiento correcto.

Existen 4 tipos principales de bichos blancos: cochinilla algodonosa, mosca blanca, pulgón blanco y cochinilla escudo. Cada uno requiere un tratamiento específico, y usar el incorrecto puede empeorar el problema o perder semanas valiosas mientras la plaga se multiplica exponencialmente.

En esta guía aprenderás a identificar exactamente qué bicho blanco tienes en 30 segundos, el tratamiento más efectivo para cada tipo (natural y químico), y cómo prevenir que vuelvan a aparecer. Incluye fotos comparativas, calendario de tratamiento y los 3 errores que hacen que las plagas regresen constantemente.


Identificación Rápida: Los 4 Tipos de Bichos Blancos

Test Visual de 30 Segundos

Observa tus bichos blancos y responde:

¿Se mueven cuando tocas la hoja?

  • SÍ, vuelan: → MOSCA BLANCA
  • SÍ, caminan lento: → PULGÓN BLANCO o COCHINILLA MÓVIL
  • NO, están pegados: → COCHINILLA ALGODONOSA o COCHINILLA ESCUDO

¿Tienen aspecto algodonoso/peludo?

  • SÍ: → COCHINILLA ALGODONOSA
  • NO: → Continúa siguiente pregunta

¿Tienen escudo duro o son blandos?

  • Escudo duro marrón/blanco: → COCHINILLA ESCUDO
  • Blandos, forma ovalada: → PULGÓN BLANCO o MOSCA BLANCA

¿Dónde están ubicados?

  • Envés de hojas: → Cualquiera (todas prefieren esta zona)
  • Tallos y uniones de hojas: → COCHINILLA ALGODONOSA (típico)
  • Hojas nuevas/brotes: → PULGÓN BLANCO (típico)
  • Volando alrededor: → MOSCA BLANCA (confirma)

💡 Tip Pro: Usa la cámara de tu móvil con zoom máximo. Las fotos ampliadas te permiten ver detalles que a simple vista son imposibles de distinguir, especialmente para diferenciar pulgón blanco de mosca blanca joven.


Tipo #1: Cochinilla Algodonosa (40% de los Casos)

Cochinilla algodonosa formando masas blancas en el tallo y las uniones de una planta suculenta

Identificación Visual Definitiva:

Apariencia:

  • Masas blancas algodonosas/peludas de 2-5 mm
  • Parecen pequeñas bolas de algodón pegadas
  • Inmóviles o movimiento muy lento
  • Agrupadas en colonias densas
  • Secretan melaza pegajosa transparente

Ubicación típica:

  • Uniones de hojas con tallos (favorito)
  • Base de hojas
  • Grietas y rincones de la planta
  • Envés de hojas en casos severos
  • Ocasionalmente en raíces (cochinilla de raíz)

Daños causados:

  • Succionan savia debilitando la planta
  • Hojas amarillas y caída prematura

¿El amarilleo es muy extendido? A veces, el daño de la cochinilla se confunde con problemas de nutrición o riego. Si tras revisar tu planta notas que el color pálido persiste en zonas donde no hay bichos, te recomendamos nuestra guía sobre Hojas Amarillas en Plantas: 12 Causas y Soluciones 2026. Te ayudará a descartar si tu planta sufre dos problemas a la vez.

  • Deformación de hojas nuevas
  • Moho negro (fumagina) sobre melaza
  • Crecimiento ralentizado severo

Plantas más afectadas: Suculentas, cactus, ficus, orquídeas, cítricos, plantas interior.

Ciclo de Vida (Importante para Tratamiento):

  • Huevos: Protegidos dentro de masa algodonosa (resistentes a tratamientos)
  • Ninfas: Eclosionan en 7-14 días, vulnerables a tratamientos
  • Adultos: Maduran en 4-8 semanas, ponen 300-600 huevos
  • Generaciones: 3-6 al año según temperatura

Por qué es importante: Debes tratar cada 5-7 días para eliminar ninfas que eclosionan de huevos resistentes.

Tratamiento Completo en 3 Fases:

FASE 1 – Eliminación Mecánica Inicial (Día 1):

  1. Aislar planta afectada inmediatamente de otras
  2. Retirar cochinillas visibles:
    • Hisopos de algodón empapados en alcohol isopropílico 70%
    • Frotar cada masa algodonosa hasta desprender
    • Revisar TODOS los rincones y uniones
    • Tiempo: 15-30 minutos según infestación
  3. Ducha fuerte de agua (si planta tolera)
    • Elimina cochinillas sueltas y melaza
    • Presión moderada para no dañar hojas
  4. Revisar sustrato: Sacar 2-3 cm superior, buscar cochinillas

⏱️ Tiempo Fase 1: 30-60 minutos (crucial, no saltear)

FASE 2 – Tratamiento Químico/Natural (Días 1, 5, 10, 15):

Opción A – Natural (Más Suave, 85% Efectividad):

Jabón Potásico + Aceite de Neem:

  • Mezcla: 10ml jabón potásico + 5ml aceite neem por litro agua
  • Aplicación: Pulverizar toda la planta hasta escurrir
  • Énfasis en uniones, envés de hojas, tallos
  • Horario: Tarde/noche (evita sol directo que quema)
  • Repetir: Cada 5 días por 3 semanas (4 aplicaciones mínimo)

Alcohol Isopropílico Diluido:

  • Mezcla: 1 parte alcohol + 3 partes agua
  • Aplicación: Pulverizar o frotar con algodón
  • CUIDADO: Testear en 1 hoja primero (algunas plantas sensibles)
  • Efectivo: Mata por contacto, disuelve protección cerosa

Opción B – Químico (Más Fuerte, 95% Efectividad):

Insecticida Sistémico (Imidacloprid):

  • Aplicación: Regar el sustrato según dosis fabricante
  • La planta absorbe el insecticida por raíces
  • Cochinillas mueren al succionar savia envenenada
  • Ventaja: Protección 4-8 semanas
  • Desventaja: Tóxico para abejas (solo usar interior)

Aceite Mineral/Parafínico:

  • Sofoca cochinillas por contacto directo
  • Menos tóxico que insecticidas sintéticos
  • Aplicar cada 7 días por 3 semanas
  • Compatible con cultivo ecológico

FASE 3 – Mantenimiento y Prevención (Semanas 3-8):

  • Semana 3-4: Aplicación semanal preventiva (aceite neem solo)
  • Semana 5-8: Inspección semanal exhaustiva
  • Si ves 1 cochinilla: Tratamiento completo otra vez
  • Mes 2+: Inspección quincenal hasta mes 6

Calendario de Tratamiento Cochinilla:

DíaAcciónProductoTiempo
1Limpieza mecánica + 1° tratamientoAlcohol + Jabón/Neem60 min
52° tratamientoJabón/Neem15 min
103° tratamientoJabón/Neem15 min
154° tratamientoJabón/Neem15 min
20Inspección + Tratamiento si hayJabón/Neem10 min
30Inspección final + PreventivoNeem solo10 min

⚠️ Error Fatal: Tratar solo 1-2 veces y parar cuando parece que no hay. Los huevos eclosionan después y la plaga regresa peor. Mínimo 4 tratamientos espaciados.


Tipo #2: Mosca Blanca (30% de los Casos)

Mosca blanca en el envés de una hoja de tomate con adultos alados y ninfas adheridas.

Identificación Visual Definitiva:

Apariencia:

  • Insectos blancos de 1-3 mm con alas
  • Forma triangular al tener alas cerradas
  • Polvo blanco en hojas (cera que secretan)
  • Vuelan cuando tocas la planta (clave identificación)
  • Ninfas inmóviles traslúcidas en envés hojas

Ubicación típica:

  • Principalmente envés de hojas (ninfas y adultos)
  • Vuelan alrededor de la planta cuando molestadas
  • Hojas nuevas preferidas para poner huevos

Daños causados:

  • Succionan savia causando amarilleo hojas
  • Secretan melaza → moho negro
  • Transmiten virus entre plantas (tomates, pimientos)
  • Debilitamiento general severo
  • Caída de hojas en infestaciones graves

Plantas más afectadas: Tomates, pimientos, col, berenjena, pepino, plantas interior (especialmente en invierno).

Protege tu huerto urbano: La mosca blanca es la pesadilla de cualquier cultivador de hortalizas. Si estás notando estos bichos en tus tomateras, es crucial que además del tratamiento, optimices el vigor de la planta. Consulta nuestra Guía Completa de Cómo Cultivar Tomates en Casa 2026 para aprender a fortalecer el sistema inmunológico de tu cultivo y hacerlo menos atractivo para las plagas.

Ciclo de Vida (Crítico para Control):

  • Huevos: 80-400 por hembra, eclosionan en 5-10 días
  • Ninfas: 4 estadios, 15-30 días total (inmóviles, chupan savia)
  • Pupas: 5-7 días (resistentes a tratamientos foliares)
  • Adultos: Viven 30-40 días, muy móviles, difíciles de eliminar
  • Ciclo completo: 21-40 días según temperatura
  • Generaciones: 8-12 al año en interior (!!)

Por qué es la más difícil: Las ninfas y pupas están pegadas y protegidas. Los adultos vuelan y re-infestan fácilmente.

Tratamiento Integrado (Más Complejo que Cochinilla):

PASO 1 – Trampas Cromáticas Amarillas (Día 1, permanente):

Por qué amarillo: Mosca blanca es atraída por color amarillo intenso.

Instalación:

  • Colocar 2-4 trampas pegajosas amarillas
  • Ubicar: A nivel de la planta, cerca pero sin tocar hojas
  • Capturan adultos voladores antes de poner huevos
  • Cambiar: Cada 7-14 días o cuando estén llenas

Resultado: Reduce población adulta 40-60% en 1 semana.

PASO 2 – Aspirado Manual (Primeros 3 días):

Método efectivo pero laborioso:

  1. Temprano en la mañana (moscas menos activas con frío)
  2. Usar aspirador de mano con filtro
  3. Tocar planta suavemente → moscas vuelan → aspirar
  4. Repetir 3-4 veces hasta que casi no vuelen
  5. Sellar bolsa aspirador y desechar inmediato

Resultado: Elimina 50-70% adultos mecánicamente.

PASO 3 – Tratamiento Foliar (Días 1, 4, 7, 10, 14):

Opción A – Natural:

Jabón Potásico:

  • Dosis: 15ml por litro de agua
  • Aplicación: Pulverizar envés de hojas (donde están ninfas)
  • Frecuencia: Cada 3-4 días por 3 semanas
  • Mata por contacto: Ninfas y adultos mojados

Aceite de Neem:

  • Dosis: 5ml por litro + emulsionante
  • Aplicación: Después del jabón (1 hora después)
  • Efecto: Interrumpe ciclo de vida, repelente
  • Frecuencia: Cada 7 días por 4 semanas

Tierra de Diatomeas:

  • Espolvear sobre hojas (crea barrera física)
  • Mata ninfas y adultos por deshidratación
  • Reaplicar después de lluvia/riego

Opción B – Químico (Si natural falla):

Insecticida Contacto (Piretrinas):

  • Mata adultos voladores rápido
  • Aplicar tarde/noche
  • Repetir cada 5-7 días

Insecticida Sistémico:

  • Imidacloprid o Tiametoxam
  • Aplicar al sustrato, la planta lo absorbe
  • Ninfas mueren al succionar savia
  • Eficaz 4-6 semanas

PASO 4 – Control Biológico (Opcional, Muy Efectivo):

Enemigos naturales:

  • Encarsia formosa: Avispa parasitoide (pone huevos en ninfas mosca blanca)
  • Macrolophus: Chinche depredador
  • Chrysoperla: Crisopa (larvas devoran ninfas)

Dónde comprar: Tiendas control biológico online Costo: 15-30€ por sobre (suficiente 10-20 plantas) Cuándo usar: Infestaciones leves-moderadas, cultivo ecológico Efectividad: 80-95% en 4-8 semanas

Calendario Tratamiento Mosca Blanca:

DíaAcciónMétodoTiempo
1Trampas + Aspirado + 1° tratamientoTrampas amarillas + Jabón45 min
2-3Aspirado diarioManual10 min/día
42° tratamientoJabón potásico15 min
73° tratamiento + NeemJabón + Neem20 min
104° tratamientoJabón potásico15 min
145° tratamiento + NeemJabón + Neem20 min
21Evaluación + Tratamiento si necesarioJabón + Neem20 min
28Inspección + Preventivo mensualSolo Neem15 min

💡 Tip Pro: La mosca blanca se reproduce más rápido con calor. Si está en 25°C+ puede duplicar población cada 3 semanas. Ataca agresivamente desde día 1.


Tipo #3: Pulgón Blanco (20% de los Casos)

Colonia de pulgón blanco en brotes tiernos y hojas jóvenes de una planta.

Identificación Visual Definitiva:

Apariencia:

  • Insectos blandos blancos/crema de 1-3 mm
  • Forma ovalada, sin alas (mayoría) o con alas (algunos)
  • Dos tubitos (cornículos) en parte trasera
  • Agrupados en colonias densas
  • Se mueven lento cuando molestas

Ubicación típica:

  • Brotes y hojas nuevas (preferencia absoluta)
  • Envés de hojas jóvenes
  • Tallos tiernos
  • Botones florales

Daños causados:

  • Deformación severa de hojas nuevas
  • Brotes enrollados, arrugados
  • Melaza abundante → hormigas presentes
  • Moho negro sobre melaza
  • Transmisión de virus en hortalizas

Plantas más afectadas: Rosales, árboles frutales, hortalizas (tomate, pimiento), plantas aromáticas, interior.

Ciclo de Vida (El Más Rápido):

  • Reproducción: Principalmente partenogenética (sin machos, clones)
  • Ninfas: Nacen vivas (no huevos), maduran en 7-10 días
  • Adultos: Viven 20-40 días, producen 5-10 ninfas/día
  • Ciclo completo: 7-14 días (!!)
  • Generaciones: 10-20 al año

Por qué es crítico: Una colonia pequeña puede volverse plaga masiva en 2-3 semanas.

Tratamiento (El Más Fácil de Eliminar):

MÉTODO 1 – Chorro de Agua (Muy Efectivo):

Procedimiento:

  1. Mañana temprano o tarde (evitar sol fuerte)
  2. Manguera con boquilla de presión ajustable
  3. Presión moderada-alta (no romper hojas)
  4. Enfocar en colonias, envés hojas, brotes
  5. Repetir cada 2-3 días por 2 semanas

Efectividad: 60-80% con cada aplicación Por qué funciona: Pulgones caen al suelo, no pueden volver a subir

MÉTODO 2 – Jabón Potásico (Gold Standard):

Aplicación:

  • Dosis: 10ml por litro de agua
  • Pulverizar directamente sobre colonias
  • Insistir en brotes y envés hojas nuevas
  • Repetir cada 3-5 días por 2 semanas
  • Mejora visible en 24-48 horas

Efectividad: 90-95% Por qué funciona: Disuelve capa cerosa del pulgón, mueren por deshidratación.

Cuidado con la deshidratación de la planta: Los tratamientos con jabón y los ataques masivos de pulgón pueden dejar a la planta exhausta y con las hojas lacias. Si después de eliminar la plaga notas que tu planta no recupera su firmeza y parece estancada, aplica estos 7 Increíbles pasos para Revivir planta seca para devolverle la turgencia en tiempo récord.

MÉTODO 3 – Control Biológico (Prevención):

Mariquitas (Adalia bipunctata):

  • Larva come 500 pulgones en 3 semanas
  • Adulto come 100-150 pulgones/día
  • Liberar 5-10 mariquitas por planta afectada
  • Precio: 10-20€ por 50 mariquitas

Crisopas:

  • Larvas voraces, comen pulgones y huevos
  • Adultos son polinizadores
  • Perfectas para prevención

Plantas refugio: Caléndula, hinojo, cosmos atraen mariquitas naturalmente.

MÉTODO 4 – Remedios Caseros Efectivos:

Ajo:

  • 5 dientes ajo machacados + 1L agua
  • Reposar 24h, colar, pulverizar
  • Repelente fuerte, no mata

Guindilla/Chile:

  • 2-3 guindillas + 1L agua, hervir 10 min
  • Enfriar, colar, pulverizar
  • Irritante para pulgones

Ortiga:

  • 100g hojas ortiga + 1L agua
  • Macerar 3-5 días, colar, diluir 1:10
  • Fertilizante + repelente

Calendario Tratamiento Pulgón Blanco:

DíaAcciónMétodoTiempo
1Chorro agua + 1° tratamiento jabónAgua + Jabón20 min
3Chorro aguaAgua presión10 min
52° tratamiento jabónJabón potásico15 min
8Chorro aguaAgua presión10 min
103° tratamiento jabónJabón potásico15 min
14Inspección + Tratamiento si necesarioJabón si quedan10-15 min
21Preventivo mensualNeem o jabón10 min

Recomendado: El pulgón blanco es el más fácil de eliminar de los 3 principales. Con tratamiento correcto, 95% se resuelve en 2 semanas.


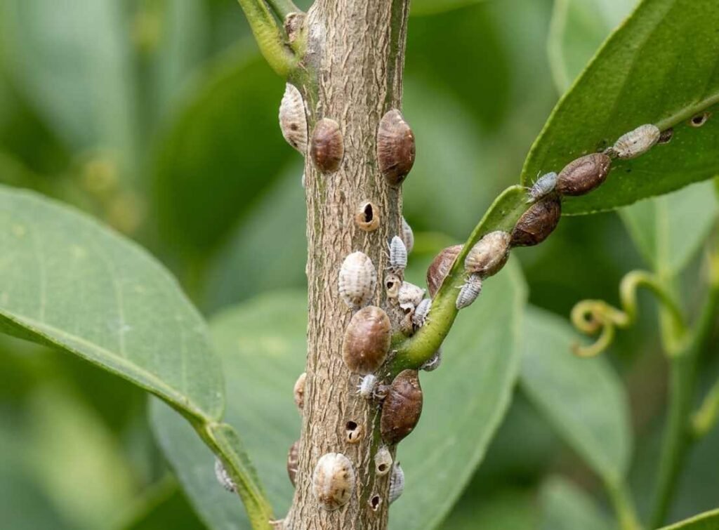
Tipo #4: Cochinilla Escudo (10% de los Casos)

Cochinilla escudo adherida al tallo de una planta cítrica con apariencia de pequeñas escamas.

Identificación Visual Definitiva:

Apariencia:

  • Escudos duros redondos/ovalados 2-5 mm
  • Color marrón, blanco, gris o translúcido
  • Adheridos firmemente a hoja/tallo
  • NO se mueven (escudo protector)
  • Parecen verrugas o escamas en la planta

Ubicación típica:

  • Tallos leñosos
  • Envés de hojas (sobre nervaduras principalmente)
  • Ramas
  • Ocasionalmente frutos (cítricos)

Daños causados:

  • Succionan savia debilitando planta
  • Amarilleo localizado donde están
  • Deformación leve de hojas
  • Melaza moderada
  • Debilitamiento general en infestaciones severas

Plantas más afectadas: Cítricos, olivos, laurel, ficus, orquídeas, plantas leñosas.

Especialistas en Olivos: El olivo es un imán para la cochinilla de escudo debido a su corteza leñosa. Si este es tu caso, no te pierdas nuestros 7 Consejos Clave sobre Cómo cuidar un olivo en maceta. Allí detallamos cómo mantener la salud de estos árboles mediterráneos para que su corteza no se convierta en el refugio perfecto para estos insectos.

Por Qué es la Más Difícil de Tratar:

El escudo protege al insecto de:

  • Pulverizaciones de jabón/aceites
  • Depredadores naturales
  • Condiciones ambientales adversas

Tratamiento efectivo: Requiere contacto directo o sistémico.

Tratamiento Específico:

PASO 1 – Eliminación Mecánica (Esencial):

Herramientas:

  • Cepillo de dientes suave
  • Espátula plástica/uña
  • Alcohol isopropílico 70%

Procedimiento:

  1. Empapar cada escudo con alcohol (ablanda)
  2. Esperar 2-3 minutos
  3. Raspar con cepillo o espátula hasta desprender
  4. Limpiar zona con alcohol
  5. Repetir con CADA escudo visible

Tiempo: 30-90 minutos según infestación (tedioso pero efectivo)

PASO 2 – Tratamiento Aceite Mineral:

Aplicación:

  • Aceite mineral/parafínico específico cochinillas
  • Pulverizar toda la planta hasta escurrir
  • El aceite penetra bajo escudos, asfixia insecto
  • Repetir cada 7-10 días por 3-4 semanas
  • Aplicar en días nublados (sol + aceite quema hojas)

PASO 3 – Insecticida Sistémico (Si Natural Falla):

Última opción:

  • Imidacloprid aplicado al sustrato
  • Planta absorbe, cochinilla muere al succionar
  • Efectivo en 2-3 semanas
  • Protección 6-8 semanas

Calendario Tratamiento Cochinilla Escudo:

DíaAcciónMétodoTiempo
1Limpieza mecánica completaAlcohol + raspado60-90 min
11° tratamiento aceiteAceite mineral15 min
82° tratamiento aceiteAceite mineral15 min
15Inspección + 3° tratamientoAceite mineral20 min
224° tratamientoAceite mineral15 min
30Inspección final + Sistémico si persisteImidacloprid10 min

Tabla Comparativa: 4 Tipos de Bichos Blancos

CaracterísticaCochinilla AlgodonosaMosca BlancaPulgón BlancoCochinilla Escudo
AspectoAlgodón blancoInsecto alado triangularOvalado blandoEscudo duro
MovilidadInmóvil / muy lentoVuelaCamina lentoTotalmente inmóvil
UbicaciónUniones hojas/tallosEnvés hojasBrotes nuevosTallos/nervaduras
MelazaAbundanteAbundanteAbundanteModerada
Dificultad eliminaciónMediaAltaBajaAlta
Tratamiento claveLimpieza + Jabón/NeemTrampas + múltiples aplicacionesChorro agua + JabónMecánico + Aceite
Tiempo resolución3-4 semanas4-6 semanas2 semanas4-6 semanas
Efectividad natural85%70%95%60%

Los 3 Errores Que Hacen Que Vuelvan las Plagas

Error #1: Tratar Solo 1-2 Veces

Por qué falla: Los huevos y pupas son resistentes a tratamientos foliares. Eclosionan 7-14 días después y la plaga «vuelve» (nunca se fue completamente).

Solución: Mínimo 4 tratamientos espaciados 5-7 días. Calendario completo de 3-4 semanas sin fallar ninguna aplicación.

Error #2: No Aislar la Planta Afectada

Por qué falla: Moscas blancas vuelan, pulgones se transportan con hormigas, cochinillas se dispersan en estadio «crawler». Re-infestan desde plantas cercanas o infectan plantas sanas.

Solución: Aislar inmediatamente planta afectada mínimo 2 metros de otras. Tratar preventivamente plantas cercanas aunque no veas bichos.

Error #3: Tratar Solo la Planta, No el Entorno

Por qué falla: Los bichos están en la maceta, suelo alrededor, cortinas, muebles cercanos. Limpias la planta pero el ambiente re-infecta.

Solución:

  • Cambiar 3-5 cm de sustrato superficial
  • Limpiar bandeja/plato de la maceta con lejía diluida
  • Lavar cortinas/limpiar muebles área con planta
  • Aspirar suelo alrededor si hay mosca blanca

Prevención: Cómo Evitar Que Aparezcan

Inspección Semanal (5 minutos):

Qué revisar:

  • Envés de hojas (90% plagas están aquí)
  • Uniones de hojas con tallos
  • Brotes nuevos
  • Sustrato superficie

Cómo revisar:

  • Utilizar una linterna o la luz del móvil para mejorar la visibilidad.
  • Girar las hojas suavemente sin dañarlas.
  • Buscar manchas pegajosas, puntitos blancos o presencia de hormigas (indicador indirecto de plagas).
  • Ante cualquier sospecha, actuar de inmediato antes de que la infestación se expanda.

Condiciones de Cultivo Óptimas

Las plantas sanas son mucho más resistentes a las plagas. Mantener un entorno adecuado reduce significativamente la probabilidad de infestaciones.

Factores clave:

  • Luz adecuada: Cada especie tiene necesidades específicas. La falta de luz debilita la planta y la hace más susceptible.
  • Riego equilibrado: El exceso de humedad favorece la aparición de plagas, especialmente en el sustrato.
  • Ventilación: Un ambiente bien ventilado dificulta la proliferación de mosca blanca y pulgones.
  • Fertilización equilibrada: El exceso de nitrógeno promueve el crecimiento de tejidos tiernos, muy atractivos para los pulgones.
  • Limpieza de hojas: Retirar el polvo permite detectar plagas tempranamente y mejora la fotosíntesis.

La poda como barrera sanitaria: Una planta con demasiadas ramas interiores y poca aireación es el caldo de cultivo ideal para los bichos blancos. Mantener una estructura abierta es clave. Revisa nuestro Calendario de Poda 2026: 7 Secretos Infalibles para saber cuándo limpiar el exceso de follaje y mejorar la ventilación natural de tus plantas.

Cuarentena de Nuevas Plantas

Una de las principales vías de introducción de plagas es la incorporación de nuevas plantas sin revisión previa.

Protocolo recomendado:

  1. Aislamiento durante 14 días antes de colocarlas junto a otras plantas.
  2. Inspección visual detallada del envés de las hojas y el sustrato.
  3. Tratamiento preventivo con jabón potásico o aceite de neem.
  4. Trasplante opcional para eliminar posibles plagas en el sustrato original.

Control de Hormigas

Las hormigas protegen y transportan pulgones y cochinillas a cambio de la melaza que estos producen. Si no se controlan, la plaga puede reaparecer constantemente.

Medidas efectivas:

  • Colocar barreras adhesivas en el tallo o alrededor de la maceta.
  • Utilizar cebos específicos para hormigas.
  • Mantener el área limpia de restos orgánicos y azúcares.
  • Sellar grietas o accesos cercanos en interiores.

Bichos Blancos en la Tierra de las Macetas

No todos los insectos blancos se encuentran en las hojas; algunos habitan en el sustrato y pueden confundirse con las plagas anteriores.

Posibles Causas

1. Cochinilla de raíz

  • Aspecto algodonoso en las raíces.
  • Provoca marchitez y crecimiento lento.
  • Tratamiento: trasplante completo y aplicación de insecticida sistémico o riego con neem.

2. Larvas de mosquitos del sustrato (sciáridos)

  • Pequeños gusanos blancos con cabeza negra.
  • Asociados al exceso de humedad.
  • Tratamiento: reducir riego, utilizar trampas amarillas y aplicar Bacillus thuringiensis israelensis (BTI).

3. Colémbolos

  • Insectos diminutos que saltan al moverse el sustrato.
  • Generalmente inofensivos y beneficiosos, ya que se alimentan de materia orgánica en descomposición.
  • Solo requieren control si su población es excesiva, reduciendo la humedad.

Cómo Diferenciarlos Rápidamente

CaracterísticaCochinilla de raízLarvas de mosquitoColémbolos
AspectoAlgodonosoGusano con cabeza negraPunto blanco que salta
Daño a la plantaAltoModeradoBajo
Causa principalIntroducción de plagaExceso de humedadSustrato orgánico
TratamientoTrasplante + sistémicoBTI + control riegoReducir humedad

Cuándo Utilizar Tratamientos Naturales o Químicos

La elección del tratamiento adecuado depende del nivel de infestación y del entorno donde se encuentren las plantas.

Tratamientos Naturales (Recomendados para la mayoría de casos)

Ventajas:

  • Seguros para personas y mascotas.
  • Aptos para cultivo ecológico.
  • Menor impacto ambiental.
  • Ideales para infestaciones leves o moderadas.

Ejemplos efectivos:

  • Jabón potásico
  • Aceite de neem
  • Tierra de diatomeas
  • Control biológico

Tratamientos Químicos (Para infestaciones severas)

Cuándo utilizarlos:

  • Cuando los métodos naturales no han sido efectivos.
  • En infestaciones masivas.
  • En plantas de alto valor o colecciones extensas.

Precauciones:

  • Seguir estrictamente las instrucciones del fabricante.
  • Utilizar guantes y protección adecuada.
  • Evitar su uso en exteriores durante la floración para proteger a los polinizadores.
  • Mantener fuera del alcance de niños y mascotas.

Señales de Recuperación de la Planta

Después de aplicar el tratamiento, es importante reconocer los signos que indican que la planta está mejorando:

  • Aparición de nuevos brotes sanos.
  • Ausencia de melaza y de moho negro.
  • Reducción progresiva de insectos visibles.
  • Color verde más intenso en las hojas.
  • Crecimiento normal tras varias semanas.

Si después de 4-6 semanas continúan apareciendo bichos, es recomendable repetir el ciclo completo de tratamiento o considerar una estrategia diferente.


Preguntas Frecuentes (FAQ)

¿Cuánto tiempo tardan en desaparecer los bichos blancos?

Depende del tipo de plaga:

  • Pulgón blanco: 1-2 semanas.
  • Cochinilla algodonosa: 3-4 semanas.
  • Mosca blanca: 4-6 semanas.
  • Cochinilla escudo: 4-6 semanas.

¿El vinagre sirve para eliminar bichos blancos?

No es recomendable. El vinagre puede dañar las hojas y alterar el pH del sustrato. Es preferible utilizar jabón potásico o aceite de neem, que son seguros y eficaces.

¿Pueden los bichos blancos matar una planta?

Sí. Aunque rara vez ocurre en etapas tempranas, una infestación severa y prolongada puede debilitar la planta hasta provocar su muerte, especialmente en especies jóvenes o debilitadas.

¿Son peligrosos para las personas o mascotas?

No representan un riesgo directo para la salud humana o animal. Sin embargo, algunos insecticidas químicos utilizados para su control sí pueden ser tóxicos si no se emplean correctamente.

¿Es necesario trasplantar la planta?

Solo en casos específicos, como la presencia de cochinilla de raíz o infestaciones severas en el sustrato. En la mayoría de situaciones, los tratamientos foliares son suficientes.


Conclusión: Elimina los Bichos Blancos de Forma Definitiva

Los bichos blancos en plantas son un problema común, pero completamente solucionable con una identificación correcta y un tratamiento adecuado. Actuar con rapidez es la clave para evitar que la infestación se expanda y cause daños irreversibles.

Resumen de acciones clave:

  1. Identificar correctamente el tipo de plaga en menos de 30 segundos.
  2. Aplicar el tratamiento específico siguiendo un calendario riguroso.
  3. Repetir las aplicaciones para eliminar huevos y ninfas.
  4. Aislar la planta afectada y tratar el entorno.
  5. Implementar medidas preventivas para evitar futuras infestaciones.

Con estos pasos, el 90% de las infestaciones se eliminan en pocas semanas, permitiendo que tus plantas recuperen su salud y vitalidad.

🌿 Consejo final: La constancia es más importante que la intensidad del tratamiento. Un seguimiento regular garantiza resultados duraderos y mantiene tus plantas libres de plagas durante todo el año.